Indisponibil
Teren construibil ultracentral Brasov pozitionare privilegiata
750,000 €
Simuleaza creditaura popa
Luni - Vineri: 10:00 - 18:00Vrei sǎ vinzi o proprietate ca aceasta? Contacteazǎ-ne pentru o evaluare!
Detalii
- ID proprietate:1518926
- Pret:750,000 €
- Nr. et. cladire:2
- Tip proprietate:Teren
- Disponibilitate:Imediat
- Clasificare teren:Intravilan
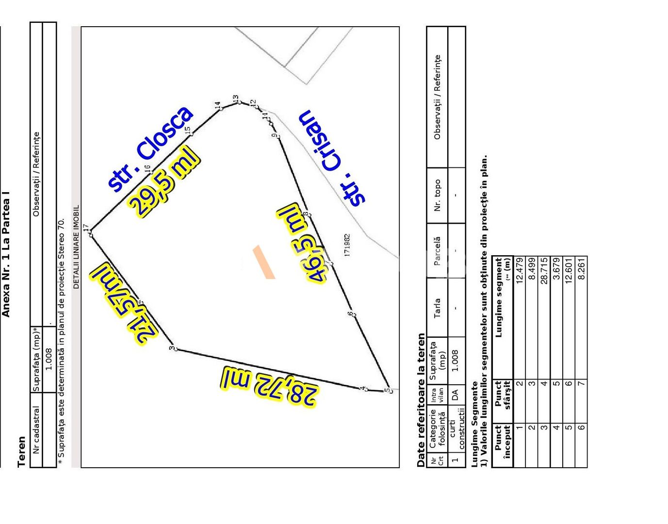
- Suprafata teren:1008 m²
- Certificat de urbanism:Da
- Aprobare de constructie:Nu
- PUZ:Nu
- PUD:Nu
Descriere
PROPRIETATE TRANZACTIONATA !
Compania STARTIMOB va propune spre achizitie, in sistem de Reprezentare Exclusiva si cu COMISION 0% din partea cumparatorului, un teren intravilan, pretabil constructii situat ultracentral, pe str. Crisan, in vecinatatea Restaurantului ‘ Roata Norocului’’ si a Palatului Stirbey.
Suprafata terenului este de 1008 mp, imprejmuit partial prin gard de plasa, cu deschidere stradala asfaltata de 29,5 ml la str. Closca cat si cu acces la str Crisan.
Destinatia terenului stabilita prin documentatia de urbanism conform P.U.G este pentru constructii locuinte individuale si colective mici, cu maxim P+2 niveluri, situate in afara ariei protejate, prin parcelari traditionale/spontane ( enclava L1a ) , aflat in subzona L3a , cu POT de 40% si CUT – 0,8 pentru P+1 si CUT de 1,2 pentru P+2, regim de inaltime de P+2E+M, cu o inaltime de 11 m la cornisa, cu retrageri fata de limitele laterale ale parcelei de minim 2 m, maxim 3 m si retragere fata de limita posterioara a parcelei de minim 2 m, maxim 5 m.
Printre alte delimitari si conditii stabilite in certificatul de urbanism mentionam urmatoarele :
-retragerea cladirilor trebuie sa permita interventia mijloacelor de stingere a incendiilor
- suprafata minima a parcelei sa fie de 200 mp si front stradal de 12 ml;
- spatii libere si plantate minim 25 %;
- parcari in incinta proprietatii;
- cladiri noi ce se vor integra in caracterul general al zonei, armonizate prin arhitectura cu cladirile invecinate si unde va fi interzis azbocimentul si tabla stralucitoare de aluminiu la invelitori , etc .
Utilitatile sunt pe teren cu contracte incheiate la furnizorii de utilitati ( apa – 4 ceasuri, energie electrica – putere instalata 130 kVA , gaz si canalizare, bransamente pentru internet si cablu TV la UPC, Orange si Digi ) .
Terenul beneficiazade un amplasament de exceptie si dispune de extras de carte funciara cu numar cadastral, documentatie topografica, certificat de urbanism, plan topografic, plan cadastral si plan de situatie in coordonate stereo, contracte de utilitati.
S-a dorit constructia unui bloc de locuinte cu 4-6 apartamente cu suprafete generoase de aproximativ 130-180 mp, precum si garaje si boxe de depozitare la subsol/demisol; apartamente concepute ca alternative la locuinte individuale, pentru persoanele care doresc facilitatile, finisajele si spatiile unei vile de lux, insa care prefera sa locuiasca in locuinte colective.
Datorita pozitionarii excelente si accesului rapid catre toate punctele de interes, terenul este ideal atat pentru investitie, dezvoltare imobiliara sau pentru constructie rezidentiala proprie.
Vecinatati : Palataul Stirbey, Restaurant ‘’Roata Norocului’’, Pensiunea ‘’Lelia Residence’’, Hotel Esprit, Schuller Residence, Casa Crisan, Institutul de Cercetari si Amenajari Silvice, etc
Pret vanzare teren: 750.000 Euro
Pentru detalii suplimentare , ne puteti contacta la nr de telefon : 0733.092.093 , persoana de contact -Aura Popa.
Adresa
- Localitate:Brasov
- Zona:Ultracentral
Calculator credit ipotecar
Suma creditabila estimata (RON):
Suma creditata (RON)
Rata dobanzii
Rata lunara incepand de la (RON)
Suma totala de restituit (RON)
Suma totala de restituit credit vechi (RON)
Suma totala de restituit dupa refinantare (RON)
Suma economisita dupa refinantare (RON)
Rata lunara credit vechi (RON)
Rata luna dupa refinantare (RON)
Primeste o oferta personalizata, GRATUIT!
Aceste calcule sunt estimative si se bazeaza pe ofertele aflate in portofoliul TMA (The Money Advisor) pentru creditele in RON.
Pentru o solutie adaptata nevoilor tale de finantare, completeaza formularul de contact.
Hai sa incepem